Pesquisas vão subsidiar agricultores no manejo da cigarrinha-do-milho

Rede Complexo de Enfezamento do Milho mobiliza universidades e instituições na busca de soluções para o monitoramento e controle da praga. Primeiros ensaios já estão em campo

6 de junho 2023
Compartilhe:
Milho

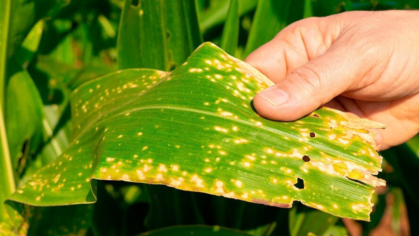
Pesquisa e informação foram as ferramentas adotadas pelo setor produtivo paranaense para enfrentar a cigarrinha-do-milho (Dalbulus maidis), inseto que vem causando prejuízos significativos às lavouras do grão no Estado ao transmitir para as plantas doenças como enfezamento e viroses. Para sistematizar esse enfrentamento, a Rede Complexo de Enfezamento do Milho (Rede CEM), formada por universidades estaduais, cooperativas, centros de pesquisa e instituições de governo, está fomentando iniciativas de manejo e controle da praga. Sua coordenação cabe à Secretaria de Estado da Agricultura e Abastecimento (Seab), Secretaria de Ciência, Tecnologia e Ensino Superior (Seti), com apoio do Sistema FAEP/SENAR-PR e Fundação Araucária que estão repassando R$ 4 milhões, no decorrer de três anos, para os estudos.

“Esse trabalho em rede é extremamente importante para que possamos colocar os ativos tecnológicos do Estado a serviço da sociedade. Essa parceria é de fundamental importância para dar a conectividade necessária da tríplice hélice, em que governo, academia e sociedade se articulam para resolver os problemas enfrentados no cotidiano por meio da produção do conhecimento”, avalia o secretário estadual de Ciência Tecnologia e Ensino Superior (Seti), Aldo Nelson Bona. “Queremos levantar informações científicas que possam subsidiar o manejo futuro da cigarrinha-do-milho pelos agricultores paranaenses”, complementa Ágide Meneguette, presidente do Sistema FAEP/SENAR-PR.

No final de abril, os integrantes da rede participaram do 1º Seminário da Rede Complexo de Enfezamento do Milho, em Londrina. Na ocasião, além da troca de experiências, foram apresentados os fundamentos da iniciativa e o escopo de 12 projetos de pesquisa que serão levados a campo por diferentes instituições estaduais, além de um décimo terceiro projeto complementar conduzido pela Embrapa Milho e Sorgo.

“Os produtores rurais do Estado serão os principais usuários daquilo que vai ser pesquisado pela Rede, pois o diferencial desta iniciativa é a facilidade de levar esse conhecimento mais rapidamente a campo”, avalia Débora Grimm, diretora-técnica do Sistema FAEP/SENAR-PR.

Área experimental do IDR-Paraná em Londrina onde serão feitos testes de eficiência de inseticidas

As 13 pesquisas estão divididas em três eixos temáticos. O primeiro abarca os projetos voltados ao monitoramento da presença da cigarrinha, as doenças que estão sendo disseminadas, as principais regiões afetadas e as circunstâncias ambientais que permitem seu surgimento. São três projetos de pesquisa alinhados com este eixo.

O segundo grupo se debruça sobre os cultivares de milho com maior tolerância ao complexo de enfezamento, com três projetos alinhados a essa temática. O último eixo conta com seis projetos que pretendem avaliar os melhores métodos de aplicação de inseticidas químicos e biológicos e os produtos mais eficazes no combate à cigarrinha-do-milho. A Embrapa conduzirá um projeto nos eixos 2 e 3.

Apesar da divisão, os pesquisadores envolvidos nos projetos vão realizar a troca de informações, algo fundamental em um arranjo em rede para o sucesso desta empreitada.

“É uma construção coletiva de conhecimento. Cada pesquisador conhece o projeto do colega, sabe o que ele está pesquisando e como aquilo pode contribuir ou influenciar a sua própria pesquisa. Será a soma dos esforços de cada indivíduo envolvido com essa proposta que vai determinar a qualidade daquilo que vamos entregar à classe produtiva do Paraná ao longo de três anos”, afirma Ana Paula Kowalski, do Departamento Técnico e Econômico (DTE) do Sistema FAEP/SENAR-PR, que acompanha os trabalhos da Rede CEM.

Gaiola para produção de cigarrinhas para outros experimentos

“Para fomentar a troca de informações entre os pesquisadores e a busca de soluções conjuntas, a cada seis meses será realizado um seminário da Rede CEM, de modo que todos os participantes tenham uma visão global do trabalho que vem sendo desenvolvido”, destaca Cleverson Andreoli, designado pela Fundação Araucária para dar suporte aos pesquisadores.

Durante os 36 meses de pesquisa, o objetivo é que as informações cheguem ao campo, para o enfrentamento da cigarrinha-do-milho, que chega a provocar perdas de até 80% em algumas lavouras. “A rede prevê ações de transferência tecnológica e divulgação dos resultados. O SENAR-PR vai promover treinamento, extensão rural, enfim, ações ostensivas para levar essas informações, de maneira célere e organizada, até o produtor rural”, completa Débora.

Os ensaios de pesquisa com milho segunda safra, plantados neste início de ano, já estão instalados em seis locais do Estado. Esses experimentos, relacionados aos eixos 2 e 3 da Rede CEM, devem começar a divulgar em breve resultados referentes a esta primeira safra de acompanhamento.

Confira um resumo dos 13 projetos desenvolvidos pela Rede Complexo de Enfezamentos do Milho:

🔎 Monitoramento da cigarrinha (Eixo 1)
Um dos projetos trazidos por pesquisadores da UEPG pretende monitorar a dinâmica populacional e a distribuição espacial da cigarrinha-do-milho e dos patógenos associados à praga. Com isso será possível identificar fluxos migratórios do inseto vetor do complexo de enfezamento e gerar um sistema de alerta para os agricultores do Estado. Adicionalmente, serão quantificadas as populações infectadas com os patógenos antes do plantio na safra e safrinha. Armadilhas luminosas seriam instaladas em, no mínimo, 20 municípios, localizados estrategicamente em locais com grande produção de milho e regiões fronteiriças. Coletas periódicas indicariam os pontos de maior preocupação no Estado e seria emitido um alerta para produtores cadastrados.

🔎 Armadilha luminosa (Eixo 1)
O desenvolvimento de uma armadilha luminosa para monitorar a incidência da cigarrinha-do-milho é um dos projetos que veio da UEL. O objetivo será validar quatro espectros luminosos pré-definidos, mais atrativos para a cigarrinha-do-milho, comparando-os com os espectros utilizados tradicionalmente. Para isso, o número de insetos capturados será correlacionado com a população estimada na área para determinar a ocorrência e quantidade de outras espécies de insetos atraídos pelas armadilhas. Consequentemente, a pesquisa trará subsídios para escolha do espectro que seja menos atrativo a outros insetos, que possam dificultar a quantificação do inseto-alvo: a cigarrinha-do-milho.

🔎 Identificação dos patógenos (Eixo 1)
Esse projeto proposto pelo IDR-Paraná pretende identificar e caracterizar os patógenos causadores do complexo de enfezamento que atinge as plantas de milho tanto na safra quanto na safrinha. A proposta pretende verificar as origens e a prevalência desses patógenos, inclusive das viroses associadas. A metodologia consiste na coleta de amostras de plantas contaminadas em diversas regiões do Estado, seguida da detecção
do tipo de molicute e de virose por meio da extração do DNA e RNA, respectivamente.

🔎 Reação dos cultivares (Eixo 2)
Nesse projeto encampado pelo IDR-Paraná, o objetivo é avaliar a estabilidade das reações de diferentes cultivares de milho ao complexo de enfezamento disseminado pela cigarrinha-do-milho. A intenção é promover esta análise a campo e em ambiente controlado, para determinar a reação dos cultivares de forma separada para cada tipo de patógeno. Com este trabalho, espera-se obter um posicionamento correto em relação ao uso dos cultivares com maior resistência ao complexo de enfezamento.

🔎 Podridão do colmo (Eixo 2)
Este projeto, proposto pelo IDR-Paraná, pretende acompanhar o desenvolvimento de três safras de milho em nove mesorregiões do Estado, de forma a determinar as áreas
com alta pressão natural do complexo de enfezamento e viroses, além da prevalência, distribuição e caracterização de espécies de fungos, oomicetos e bactérias fitopatogênicas causadores do complexo de podridão do colmo. Dessa forma, será possível avaliar se o complexo de enfezamento e viroses transmitidos pela cigarrinha-do-milho podem ser fatores agravantes de fitopatógenos associados ao complexo de podridão do colmo.

🔎 Qualidade dos grãos (Eixo 2)
Este projeto encampado pela Unicesumar se propõe a avaliar a sanidade e a composição bromatológica de grãos produzidos em híbridos de milho sob efeito do complexo de enfezamento. Dessa forma, será estabelecida uma relação entre o complexo de enfezamento e a incidência de doenças fúngicas nas espigas, visto que os grãos podem ser danificados por fungos resultando em grãos ardidos e com a presença de micotoxinas. Além de avaliação sanitária, os grãos passarão por avaliação bromatológica que verificará o impacto do complexo na sua qualidade, como os teores de amido e proteína, entre outros.

🔎 Uso de inseticidas (Eixo 3)
Esse primeiro projeto envolvendo a Universidade Tecnológica Federal do Paraná (UTFPR) busca melhorar a eficiência no uso de inseticidas sintéticos e biológicos no controle da cigarrinha-do-milho. Para isso, serão realizadas avaliações de campo e em laboratório para testar a eficácia dos inseticidas registrados, levando em consideração intervalos entre as aplicações e a compatibilidade de misturas. Serão selecionados, no mínimo, quatro locais no estado do Paraná para a realização desses testes, e os protocolos de implantação, manejo e avaliação serão padronizados e unificados.

🔎 Gestão de dados (Eixos 1, 2 e 3)
O segundo projeto da UTFPR fornecerá suporte estatístico para os diversos subprojetos do Eixo 3, e para os coordenadores dos demais eixos. Além disso, o trabalho será responsável pela gestão dos dados brutos coletados durante as pesquisas, auxiliando na divulgação técnica dos resultados obtidos e adequação dos protocolos seguintes aos resultados preliminares. A análise estatística dos dados será fundamental para compreender os impactos e resultados alcançados pelos diferentes subprojetos e contribuirá para embasar as decisões relacionadas ao manejo da cigarrinha-do-milho.

🔎 Inseticida e fungicida (Eixo 3)
O projeto, proposto por pesquisadores da Unicentro, pretende comparar os níveis de manejo químico com inseticida e fungicida na fase vegetativa da planta e sua influência no desempenho agronômico em diferentes safras. A proposta prevê a avaliação dos benefícios da aplicação de produtos que tenham ação bioativadora, que atuam em rotas metabólicas e não apenas diretamente no inseto, em ambiente de primeira safra. Esse impacto será mensurado em áreas de plantio direto na região Centro-Sul do Paraná.

🔎 Uso de nematóides (Eixo 3)
O uso de Nematóides Entomopatogênicos (NEPs) para o controle da cigarrinha-do-milho é a proposta deste projeto coordenado pelo IDR-Paraná. Os NEPs já são utilizados com
sucesso para controle de outras pragas, inclusive da cultura do milho. Nesse projeto será estudada a susceptibilidade da cigarrinha-do-milho aos NEPs em três diferentes estágios do inseto (ovo, ninfa e adulto). Dessa forma, pretende-se contribuir para uma estratégia sustentável de manejo do complexo de enfezamento do milho.

🔎 Tecnologias de aplicação (Eixo 3)
Esse projeto da UENP pretende avaliar diferentes tecnologias de aplicação de agroquímicos no controle de pragas e doenças que incidem sobre o milho. Dentre os objetivos estão a análise das perdas, qualidade da deposição e distribuição das gotas de pulverização para que os produtos sintéticos ou biológicos atingem em quantidade e qualidade as partes fundamentais das plantas de milho. Outro objetivo é a construção de uma tabela prática das (in)compatibilidades das principais opções de misturas em tanque de inseticidas.

🔎 Inseticidas químicos e biológicos (Eixo 3)
A UEPG é responsável pelo projeto que pretende compreender a interação dos inseticidas sintéticos (químicos) com biológicos no controle da cigarrinha-do-milho. O objetivo é avaliar a eficácia dos inseticidas organofosforados, carbamatos, piretroides e neonicotinoides e outras moléculas a serem registradas, associados com fungos entomopatogênicos no controle da cigarrinha. Validar os produtos biológicos de maior eficácia e os melhores horários de aplicação também estão previstos no escopo do projeto.

🔎 Recomendação de manejo (Eixos 2 e 3)
A Embrapa Milho e Sorgo é a responsável por este projeto que atuará em dois eixos conjuntos: cultivares (2) e inseticidas (3). O objetivo é desenvolver e validar as recomendações de manejo para redução dos danos causados pelo complexo de enfezamento. Essas recomendações visam avaliar a resistência de cultivares de milho e propor medidas de controle que atuem diretamente sobre o inseto vetor. As avaliações serão conduzidas também em Sete Lagoas, Minas Gerais, onde está situada a instituição, e onde ocorre alta incidência da cigarrinha-do-milho e das doenças por ela transmitidas.

Áreas de atuação relacionadas